Save
Ask
Tour
Hide
$1,174,200
245 Days On Site
000 Pearson CircleTuscaloosa, AL 35401
For Sale|Unimproved Land|Active
0
Beds
0
Total Baths
579,348
SqFt
$2
/SqFt
County:
Tuscaloosa
Listing courtesy of Joe Duckworth JR of Keller Williams Tuscaloosa
Call Now: (205) 764-1637
Is this the listing for you? We can help make it yours.
(205) 764-1637

Save
Ask
Tour
Hide
Mortgage Calculator
Monthly Payment (Est.)
$5,357Calculator powered by Showcase IDX, a Constellation1 Company. Copyright ©2025 Information is deemed reliable but not guaranteed.
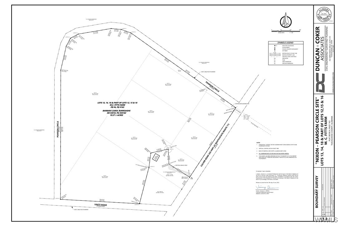
**FOR SALE** @ 13.3 acres located in Tuscaloosa County adjacent to the City of Tuscaloosa in the Police Jurisdiction. Sewer located adjacent to the property. Property can developed for Residential Subdivision (See drawing) and also has many potential Commercial uses. Property consists of a portion of Parcel ID# 31-09-31-4-005-002.000 Easy access from I-20/59 which is only 2.3 miles from the property. Can be sold along with the 6 acres (same Owner) which borders the property. Property included is highlighted in Green on the main rendering NOTE: Seller is a licensed Real Estate Agent in the State of Alabama
Save
Ask
Tour
Hide
Listing Snapshot
Price
$1,174,200
Days On Site
245 Days
Bedrooms
N/A
Inside Area (SqFt)
579,348 sqft
Total Baths
N/A
Full Baths
N/A
Partial Baths
N/A
Lot Size
13.3 Acres
Year Built
N/A
MLS® Number
168086
Status
Active
Property Tax
$539.6
HOA/Condo/Coop Fees
N/A
Sq Ft Source
N/A
Friends & Family
Recent Activity
| 8 months ago | Listing first seen on site | |
| 8 months ago | Listing updated with changes from the MLS® |
General Features
Acres
13.3
Property Sub Type
Unimproved Land
SqFt Total
579348
Save
Ask
Tour
Hide
Community Features
MLS Area
(11) South Tuscaloosa County
Listing courtesy of Joe Duckworth JR of Keller Williams Tuscaloosa
Listing information is provided by Participants of the West Alabama MLS. IDX information is provided exclusively for personal, non-commercial use, and may not be used for any purpose other than to identify prospective properties consumers may be interested in purchasing. Information is deemed reliable but not guaranteed. Copyright 2025, West Alabama MLS.
Last checked: 2025-12-10 02:31 PM UTC
Listing information is provided by Participants of the West Alabama MLS. IDX information is provided exclusively for personal, non-commercial use, and may not be used for any purpose other than to identify prospective properties consumers may be interested in purchasing. Information is deemed reliable but not guaranteed. Copyright 2025, West Alabama MLS.
Last checked: 2025-12-10 02:31 PM UTC
Neighborhood & Commute
Source: Walkscore
Save
Ask
Tour
Hide
Did you know? You can invite friends and family to your search. They can join your search, rate and discuss listings with you.